3281 LINDFIELDS BLVD, KISSIMMEE, FL, 34747
$1,375,000
Land
Lot Size
42,950 Sqft
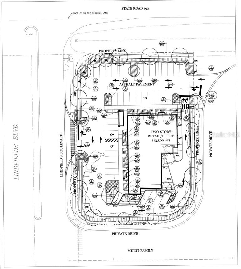
Rare infill commercial land opportunity at the intersection of US Highway 192 and Lindfields Boulevard in Kissimmee, Florida 34747. This 0.99 acre Vacant Commercial parcel carries a Future Land Use designation of Tourist Commercial under the Osceola County Comprehensive Plan and is zoned Commercial within a Planned Unit Development, supporting one of the broadest use matrices available at this scale in the Four Corners corridor. The site is positioned within the West 192 Community Redevelopment Area, providing the next owner access to Tax Increment Financing backed programs administered by the W192 Development Authority. Available programs include demolition matching grants of up to $75,000, facade improvement assistance, and monument sign reimbursement. The Development Authority also provides direct staff support for entitlement coordination and access planning within the corridor. Traffic exposure is exceptional. US Highway 192 carries 51,528 vehicles a day at this location based on 2025 traffic counts. The SR 429 Western Beltway interchange is less than a quarter mile away, providing direct regional highway connectivity. Disney Animal Kingdom is approximately 2 miles from the site and the full Walt Disney World Resort complex is approximately 4 miles east, anchoring sustained year round tourism demand and corridor commercial activity. The immediate trade area is one of the fastest growing markets in the state. Population within 1 mile grew from 6,620 residents in 2020 to 12,830 in 2024, nearly doubling in four years, and is projected to reach 15,931 by 2029. Household counts within 1 mile increased by 93.5% between 2020 and 2024. Annual consumer spending within 1 mile exceeds $134 million, including $16.2 million in food away from home spending and $8.2 million in education and daycare expenditures. Over 52% of housing units within 1 mile were built in 2010 or later, reflecting a new and growing community. A site plan for a 13,500 square foot retail and office plaza was previously approved by Osceola County. That approval has expired but is revivable through the county administrative process, giving the next owner meaningful entitlement momentum rather than a ground up start. Current access is via Lindfields Boulevard, a residential collector street adjacent to the property. Direct US Highway 192 access is subject to resolution through FDOT permitting, easement coordination, or a county-approved access plan. The Tourist Commercial FLU and Commercial PUD zoning support a wide range of development programs. Compatible uses include restaurants with drive-thru, quick service food and fast casual dining, medical and professional office, childcare and early education schools, boutique hotel and extended stay lodging, vacation villa and short-term rental development, and neighborhood retail and personal service. Buyers are encouraged to confirm the full scope of permitted uses directly with Osceola County planning staff and by reviewing the recorded PUD agreement.
Property Details
Property Features Property Features
MLS ID: MFRO6389576 Year Built:
Community Features: Street Lights Country: US
County Or Parish: Osceola Current Use: Commercial
Direction Faces: North Lease Term: Six or More Years
Listing Agreement: Exclusive Right To Sell Property Type: Land
Road Surface Type: Asphalt Sewer: Public Sewer
Showing Requirements: Call Listing Agent Special Listing Conditions: None
Standard Status: Active State Or Province: FL
Utilities: Sewer Available, Water Available Water Source: Public
We love to hear from you